Accurately Predict Your Field Output Like Never Before- Drones for Agricultural Surveying

The age of guesswork in farming is over. With agriculture drone mapping and advanced drone technology, we are witnessing a major shift in the agricultural industry into the digital age. Using drones, crops can be monitored more accurately and outputs can be predicted like never before, enabling us to better understand the land that produces the food required for our own survival and ability to thrive. The several key issues faced by the agricultural industry worldwide can be effectively tackled through the clever application of drone technology.

The agricultural industry has seen great advancements in automation, from seedling production to plug planting; now, using drone technology, acres of produce can be analysed through the growing season to ensure peak performance from crops.
The differences in agricultural production are stark, with many using dated methods due to available capital, and others investing in automation to produce more uniform plants, resulting in less crop wastage and higher profit margins.
Agriculture occurs all over the world, and the United Arab Emirates is no exception. Sand substrates contain valuable minerals that are beneficial for plant growth, and when mixed with organic matter and provided with the region’s copious heat and solar exposure, successful cropping can be achieved with relative ease. However, nature does not disperse organic matter equally and as such, detecting the nutritional content helps to pinpoint the issues that are arising on both arable and pastoral farms within the region.
Global Agricultural Challenges
There are several key issues faced by the agricultural industry worldwide, all of which can be effectively tackled through the clever application of drone technology.
1. Climate Change
Agriculture is a significant contributor to global climate change; with a recent report from the Intergovernmental Panel on Climate Change (IPCC) finding that agriculture and forestry have contributed to a quarter of global greenhouse emissions. The report further states that sustainable agriculture and land management could be key to reversing the land degradation that has been brought about through climate change and poor agricultural practices. Not only can it bring about land rejuvenation; the IPCC report states that a sustainable agricultural shift will have cost-effective, immediate and long-term benefits.
On the other hand, those who fail to adapt to contemporary, sustainable farming conventions will put themselves at a significant economic disadvantage; not only due to the changing demands and expectations of customers, but also as a result of the ever-increasing land depletion.
In addition to the direct impact that farming and over-farming has on the wider environment, industrial agriculture also shoulders the burden of reducing their carbon footprint. Whether through generating gallons of fresh water, using heavy agricultural machinery, or investing in the production of fertilisers, herbicides and pesticides, arable agriculture has some way to go to become sustainable and carbon-neutral.
Drones are certainly helping in this regard, by conserving supplies for the plants that need them. By quickly and accurately assessing the needs of each crop and section of soil, soil fertility can be better maintained and its health improved holistically.
Case Study: Wadi Al Khib, UAE
The Ministry of Climate Change and Environment (MoCCAE) in UAE is currently using drone surveying on their 500 sqm Wadi Al Khib site. The drones will be collecting data on temperature-controlled greenhouses, windbreakers, infertile land, farm buildings and facilities, wells, soil type and salinity, and livestock population.
The survey will also measure the farm area within the wadi, geographical boundaries, agricultural classification, zones of temporary and permanent crops, the number of palm and fruit trees, and the overall area of protected agriculture. The overall aim is to create a highly accurate agricultural map which — being continuously updated — will assist forward-thinking and decision-making in the area of precision agriculture.
Drones are capturing data that would otherwise take years to collate, allowing factors affecting global warming to continue unhindered. The swift and accurate collection of data enables farms to produce long-term, sustainable agricultural plans. These not only benefit the fight against climate change; they also ensure a cost-effective use of resources, saving companies a great deal of money.
2. Food Security
With the ever-expanding modern population, ensuring a consistent and reliable food supply is more important than ever. This is directly related to the health of the soil as overcropping results in depleted land fertility, lacking the nutrients necessary to produce new, healthy crops. In order to maintain the fertility of land, the organic matter removed from the land as crops, must be replaced. Replenishing the nutrient content within the soil not only secures future crop production, but it also encourages natural ecosystems to flourish; reducing the likelihood of pests and diseases.
The healthier the land is, the stronger the plants become and the better their defences are against the pests and diseases that would otherwise threaten food security. Crops with limited or lacking nutrients become susceptible to all manner of pests and diseases which often results in a poorer or damaged crop, with direct economic implications — particularly where illnesses result in an unsaleable crop.

Marginal Environments
An estimated 1.7 billion people worldwide live in marginal environments where the soil is poor and the land has a low agricultural value. However, it is still necessary for many of these areas to be cultivated. These regions can prove highly challenging to grow within, especially where the resources for generating land improvement are also lacking.
Temperature extremes, soil infertility and an excess or ingress of solar exposure each pose their own set of difficulties — but also some advantages — when farming within marginal environments. In the United Arab Emirates, the heat and solar exposure can work wonders for producing larger and quicker crops earlier on in the year, however, the summer months force many crops to be grown indoors within air-conditioned environments, or may stop agriculture altogether. Modern technology helps to control the climate, nutrition and water supply within the marginal environments that have access to the necessary resources and innovations.
Irrigation is particularly essential within the UAE’s warmer climate, due to its free-draining sandier soils, combined with high temperatures and the overall lack of natural rainfall. However, using these resources in areas that would not naturally see such quantities of water, does render marginal environments less sustainable than others and efforts to modify this could inadvertently contribute to climate change.
Inefficiency
As mentioned above, a steady stream of high-quality fresh water is needed to keep crops alive and thriving, particularly within climates that see little rainfall like the UAE. The dependence on additional resource allocation is not considered sustainable nor efficient due to the energy it takes to produce and relocate them. UAE’s agriculture is heavily reliant on both its groundwater reserves and desalinated seawater. Sourcing this fresh water takes a great deal of energy, which is both inefficient and unsustainable.
Limited resources such as peat are not advisable to use due to the fact that they will not regenerate for a thousand years, but some industries do still use them despite the presence of alternatives. Labour is also a costly and time-consuming resource, particularly when manually assessing the health of plants and soil or substrate.
Land is arguably the most important resource as the amount of crops that can be produced are directly limited by the land available to them. Each plant needs a certain amount of space in order to grow to fruition, yet poor planning or insufficient nutrients can result in wasted space, excess weed production, or underperforming crops.
Drone mapping can help solve these issues by surveying the land quickly; assessing the health of the crops, their mineral contents, and the moisture levels within the soil. This allows water and chemicals to be allocated to where their need is detected, saving money while also avoiding overwatering and over-fertilising issues. This is particularly useful when growing multiple crops as they have different nutritional needs, and a one-size-fits-all approach would be a waste of resources.
Benefits of Drone Mapping in Modern Agriculture

The main benefot of Drone Mapping in Agriculture is a great deal of data is gathered through drone mapping, and more applications and advancements are brought into the commercial world continuously. This section illustrates just how cutting-edge the technology has become, and shows how those using drones on agricultural land undoubtedly gives users the edge on both productivity and maintaining overall environmental health.
1. Rich and accurate information and insights
Accurate data can be gathered through the interchangeable sensors or payloads that drones can carry. The soil is undoubtedly the most important aspect within agriculture, as the best plants are produced as a result of the correct balance of nutrients within the earth. As mass cropping and crop removal are both hard on the soil, the drone mapping technology is able to highlight problem areas before it hinders the future of growing crops.
2. Faster Operation
Compared to the manual alternative of rich data accumulation, using the drone mapping technology is faster. To give you an idea of the speed at which accurate data is captured, it takes a drone under 15 minutes to survey an area of 160 acres.
The application and accuracy of sprays is also vastly increased through using drones to spray the area. The data gathered from drone mapping can be coupled with the spraying requirements in order to conserve resources for the areas that need it.
3. Increase in Yields
Increased yields can be achieved through this technology as problems such as nitrogen depletion can be addressed before it results in inferior crops. Fertiliser burn and overwatering can also be avoided through informed applications of these substances; again, delivering resources only to where they are needed to preserve the health of crops, and improve the condition of potentially poor produce.
6 Innovative Uses of Drone Mapping in Modern Agriculture
There are two main ways in which drones are currently used within agriculture; the first is remote sensing to gather the required information; and the second is its operational use for accurate crop spraying with drones. The benefits of farming drones continue to increase as the technology advances, and below we have listed six key ways drones are used in the agriculture sector.
https://youtu.be/8yu5siq4tAI?si=qA_QCEe6vfj4BnIS
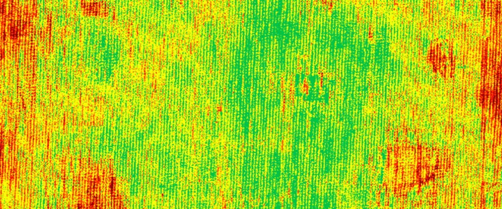
1. Terrain and Soil NDVI Mapping
The salinity level, soil type and health can all be assessed in a matter of minutes using drone mapping. The elevations are easily demonstrated in the precise 3D maps that it can produce, assisting in soil analysis as well as planning seed and crop placements ahead of the season. Throughout the growing season, the data produced from the drone’s soil analysis report will display the condition of the substrate and its requirements, such as individual water requirements and the management of nitrogen levels throughout.
2. Monitoring Crops
Crop health is a dynamic and complex facet, greatly influenced by various environmental conditions such as temperature, humidity, nutrient balance, presence of pests and diseases, water supply, and solar exposure. What used to be an intricate challenge can now be streamlined and accurately gauged through drone monitoring. By employing the multitude of sensors and payloads on the drones, we can see beyond the surface and detect those otherwise invisible factors affecting growth. This in-depth analysis allows for targeted intervention, whether through precise watering or spraying specific areas as needed. The result is a healthier crop environment, boosting the plants’ immune system and empowering them with a robust ability to ward off pests and diseases. Drone monitoring isn’t just a technological advancement; it’s a fundamental shift in how we understand and nurture the very essence of agriculture.

3. Prescription Maps for Fertilisers, Herbicides and Pesticides
A one-size-fits-all solution is a dated approach to take as not only is it more demanding on resources, but can also harm the health and vitality of crops. Applications of too much water, for example, can destroy an otherwise healthy crop by inhibiting its roots’ ability to take up oxygen, so equal watering is not the way to produce perfect crops. The same is true for fertilisers; applying the right amount is essential for growth as too much results in scorched roots that can harm otherwise healthy plants.
By using drone mapping, sprays can be applied only where the problem exists, avoiding wasting resources as well as potentially causing problems to the healthy crops that do not require the same prescription. While humans would not be able to identify the individual needs of each plant within their crop, the technology of drones can do just that within minutes.
4. Crop Assessment
Scouting missions can be activated at the push of a button; the drone leaves the weatherproof charging station, collects and uploads data. Automated irrigation systems can be adjusted in accordance with the findings of the drone, as well as an analysis of its plant stress detection and the efficiency of any ongoing treatments or amendments. Frequent health checks are made possible with on-site scouting drones.
5. Plant Population Count
Any number of plants can be counted through the drone’s advanced AI technology. This enables the total production and total loss to be calculated at the beginning and end of every season to increase the accuracy and awareness of how successful the growing season has been.
6. Automatic Classifications
The drone is able to identify the type of agricultural land it is surveying; whether arable, pastoral, or mixed. As seen above, drones have the ability to count the number of crops and livestock to ensure records are up to date and that any losses are recorded.

In Conclusion
The health and vitality of any acreage of crops is no longer a mystery; with drone technology, the agricultural industry is being brought into the 21st century. Crops can be monitored more accurately and outputs can be predicted like never before, enabling us to better understand the land that produces the food required for our own survival and ability to thrive.
The overall sustainability of arable farming is increased through the use of drone technology, as water and resource wastage becomes a thing of the past and precision agriculture takes over. Inefficiency has no place in modern agriculture where drone technology is involved, and drone mapping services such as that offered by FEDS further help the modernisation and overall sustainability of agriculture by providing solutions to the common industry challenges.
By removing the investment into drone technology and training, drone mapping companies have become a part of the changing face of agriculture by offering drones as a service. Trained drone pilots and up-and-running software and programmes have been tried and tested across a multitude of industries, and the impact of such accuracy and speed of data collection has been ground-breaking for many.
Contact FEDS today to find out how agricultural mapping can help streamline your crop production while increasing its overall sustainability – or read more about our surveying and mapping services here.







.webp)